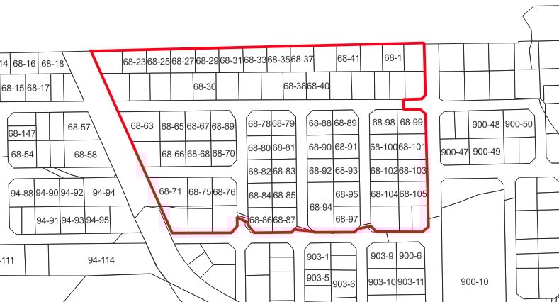
총 80필, 1만 7,987㎡에서 지적재조사사업을 실시하는 박달사거리주변지구 지적도. /사진제공=안양시

안양시 만안구가 2026년 만안구 지적재조사사업에 선정된 박달사거리주변지구와 뉴골든아파트주변지구에 대한 실시계획을 수립하고 다음달 1일 온라인 주민설명회를 개최한다고 25일 밝혔다.

지적재조사사업은 토지 실제 이용 현황과 일치하지 않는 지적공부의 등록 사항을 현실에 맞게 바로잡고 디지털 지적으로 전환하는 국가 정책사업이다. 주민들의 적극적인 참여와 협조가 필요한 사업으로 토지소유자 총수와 토지 면적의 3분의 2 이상 토지소유자의 동의가 있어야만 사업지구로 지정될 수 있다.


만안구는 국비 2600만원을 확보해 '박달사거리주변지구(박달동 68-1번지 일원 총 80필, 1만7987㎡)'와 '뉴골든아파트주변지구(안양동 756-13번지 일원 25필 8874㎡)'에 대해 내년 지적재조사 예정지역으로 선정했다.

만안구는 사업의 본격적인 추진에 앞서 해당 지역 토지소유자와 이해관계인, 지역주민을 대상으로 지적재조사사업의 추진목적, 배경, 절차, 주민 협조 사항 등을 설명하기 위해 '유튜브(안양시 채널)'에 설명회를 마련했다. 자세한 내용은 안양시 유튜브뿐만 아니라 안양시 SNS(사회관계망) 홍보플랫폼 '안녕, 안양'에서 확인할 수 있다.

유한호 만안구청장은 "지적재조사사업의 성공적인 추진을 위해 주민분들의 많은 관심과 협조를 부탁드린다"고 말했다.